San Diego – La asociación de gobiernos de San Diego (SANDAG) anunció este miércoles que recibió $21.5 millones de dólares en fondos federales para el proyecto de mejorar el transporte público en la ciudad de Chula Vista.
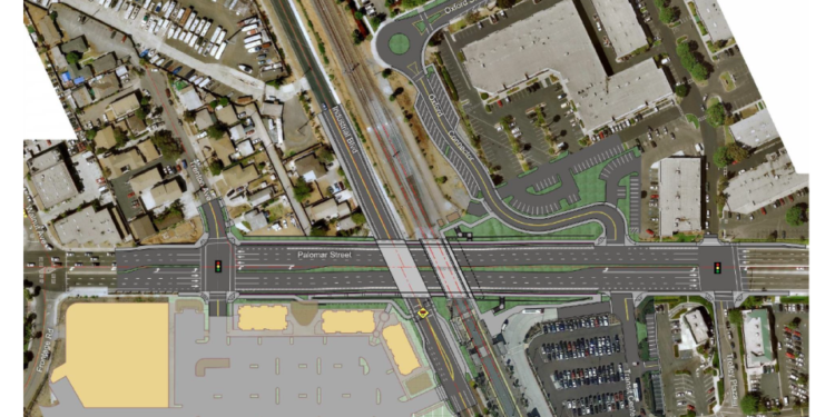
El proyecto incluye la eliminación de un cruce de vías del tren en la calle Palomar, que ha causado 85 colisiones, informó SANDAG. La eliminación de este cruce también reducirá las emisiones de vehículos esperando el tren y hará la zona más accesible para los peatones.
Los fondos federales que financian este proyecto son parte de una iniciativa para apoyar la infraestructura de la administración Biden. El proyecto de Chula Vista es uno de los 162 proyectos de infraestructura en todo el país que recibieron un total de $2.2 billones de dólares en fondos.














